Arián González fue citado a indagatoria tras haber pateado a la perrita Mía
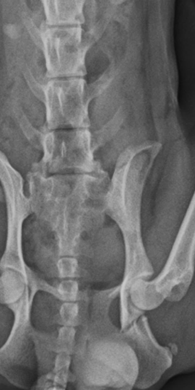
El joven será indagado por maltrato animal. Mía tiene seis costillas rotas y una lesión en la cadera.
El fisical Marcelo Romero de la UFI 6 citó para el próximo miércoles 9 a Arián González, el joven de 25 años que era árbitro en una liga del interior de la provincia y que pateó salvajemente a una perrita caniche toy.
Luego que se viralizaran las imágenes, además del repudio generalizado, el agresor perdió su trabajo en un negocio de nuestra ciudad, fue apartado como árbitro y además su novia lo dejó.
La agresión se dio en el contexto de una pelea con su ex novia. Si bien ella aclaró que nunca ejerció violencia contra ella, tras la discusión y por la frustración descargó su furia con el inocente animal que sufrió quebraduras en seis costillas además de una grave lesión en la cadera.
Imágenes: @nandotocho
